Gmina Budziszewice: Przebudowa drogi gminnej w miejscowości Węgrzynowice-Modrzewie
OGŁOSZENIE O ZAMÓWIENIU - Roboty budowlane

Ogłoszono w BZP - Ogłoszenie nr 549980-N-2020 z dnia 2020-06-12 r.
Zamieszczanie ogłoszenia: Zamieszczanie obowiązkowe

Ogłoszenie dotyczy: Zamówienia publicznego

Zamówienie dotyczy projektu lub programu współfinansowanego ze środków Unii Europejskiej

Nie

Nazwa projektu lub programu
O zamówienie mogą ubiegać się wyłącznie zakłady pracy chronionej oraz wykonawcy, których działalność, lub działalność ich wyodrębnionych organizacyjnie jednostek, które będą realizowały zamówienie, obejmuje społeczną i zawodową integrację osób będących członkami grup społecznie marginalizowanych

Nie

Należy podać minimalny procentowy wskaźnik zatrudnienia osób należących do jednej lub więcej kategorii, o których mowa w art. 22 ust. 2 ustawy Pzp, nie mniejszy niż 30%, osób zatrudnionych przez zakłady pracy chronionej lub wykonawców albo ich jednostki (w %)
SEKCJA I: ZAMAWIAJĄCY

Postępowanie przeprowadza centralny zamawiający   Nie

Postępowanie przeprowadza podmiot, któremu zamawiający powierzył/powierzyli przeprowadzenie postępowania   Nie

Informacje na temat podmiotu któremu zamawiający powierzył/powierzyli prowadzenie postępowania:
Postępowanie jest przeprowadzane wspólnie przez zamawiających Nie

Jeżeli tak, należy wymienić zamawiających, którzy wspólnie przeprowadzają postępowanie oraz podać adresy ich siedzib, krajowe numery identyfikacyjne oraz osoby do kontaktów wraz z danymi do kontaktów:
Postępowanie jest przeprowadzane wspólnie z zamawiającymi z innych państw członkowskich Unii Europejskiej   Nie

W przypadku przeprowadzania postępowania wspólnie z zamawiającymi z innych państw członkowskich Unii Europejskiej – mające zastosowanie krajowe prawo zamówień publicznych:
Informacje dodatkowe:

I. 1) NAZWA I ADRES: Gmina Budziszewice, krajowy numer identyfikacyjny 59064781300000, ul. ul. J. Ch. Paska  66 , 97-212  Budziszewice, woj. łódzkie, państwo Polska, tel. 447 102 389, e-mail Ten adres pocztowy jest chroniony przed spamowaniem. Aby go zobaczyć, konieczne jest włączenie w przeglądarce obsługi JavaScript., faks 447 102 389.
Adres strony internetowej (URL): http://bip.budziszewice.net
Adres profilu nabywcy:
Adres strony internetowej pod którym można uzyskać dostęp do narzędzi i urządzeń lub formatów plików, które nie są ogólnie dostępne

I. 2) RODZAJ ZAMAWIAJĄCEGO: Administracja samorządowa
I.3) WSPÓLNE UDZIELANIE ZAMÓWIENIA (jeżeli dotyczy):

Podział obowiązków między zamawiającymi w przypadku wspólnego przeprowadzania postępowania,                        w tym w przypadku wspólnego przeprowadzania postępowania z zamawiającymi z innych państw członkowskich Unii Europejskiej (który z zamawiających jest odpowiedzialny za przeprowadzenie postępowania, czy i w jakim zakresie za przeprowadzenie postępowania odpowiadają                                           pozostali zamawiający, czy zamówienie będzie udzielane przez każdego z zamawiających indywidualnie, czy zamówienie zostanie udzielone w imieniu i na rzecz pozostałych zamawiających):
I.4) KOMUNIKACJA:
Nieograniczony, pełny i bezpośredni dostęp do dokumentów z postępowania można uzyskać pod adresem (URL)

Tak
http://bip.budziszewice.net


Adres strony internetowej, na której zamieszczona będzie specyfikacja istotnych warunków zamówienia

Tak
http://bip.budziszewice.net


Dostęp do dokumentów z postępowania jest ograniczony - więcej informacji można uzyskać pod adresem

Nie
Oferty lub wnioski o dopuszczenie do udziału w postępowaniu należy przesyłać:
Elektronicznie

Nie
adres
Dopuszczone jest przesłanie ofert lub wniosków o dopuszczenie do udziału w postępowaniu w inny sposób:
Nie
Inny sposób:
Wymagane jest przesłanie ofert lub wniosków o dopuszczenie do udziału w postępowaniu w inny sposób:
Tak
Inny sposób:
Ofertę Wykonawca może dostarczyć za pośrednictwem operatora pocztowego w rozumieniu ustawy z dnia 23 listopada 2012r.-Prawo pocztowe (Dz.U.z 2018r.poz.2188 z późn.zm.), osobiście lub za pośrednictwem posłańca
Adres:
Urząd Gminy w Budziszewicach, ul.J.Ch.Paska 66, 97-212 Budziszewice (pokój nr 2, parter).

Komunikacja elektroniczna wymaga korzystania z narzędzi i urządzeń lub formatów plików, które nie są ogólnie dostępne     Nie
Nieograniczony, pełny, bezpośredni i bezpłatny dostęp do tych narzędzi można uzyskać pod adresem: (URL)

SEKCJA II: PRZEDMIOT ZAMÓWIENIA

II.1) Nazwa nadana zamówieniu przez zamawiającego: Przebudowa drogi gminnej w miejscowości Węgrzynowice-Modrzewie
Numer referencyjny: RG.271.2.2020
Przed wszczęciem postępowania o udzielenie zamówienia przeprowadzono dialog techniczny Nie

II.2) Rodzaj zamówienia: Roboty budowlane
II.3) Informacja o możliwości składania ofert częściowych
Zamówienie podzielone jest na części:

   Nie
Oferty lub wnioski o dopuszczenie do udziału w postępowaniu można składać w odniesieniu do:
Zamawiający zastrzega sobie prawo do udzielenia łącznie następujących części lub grup części:
Maksymalna liczba części zamówienia, na które może zostać udzielone zamówienie jednemu wykonawcy:


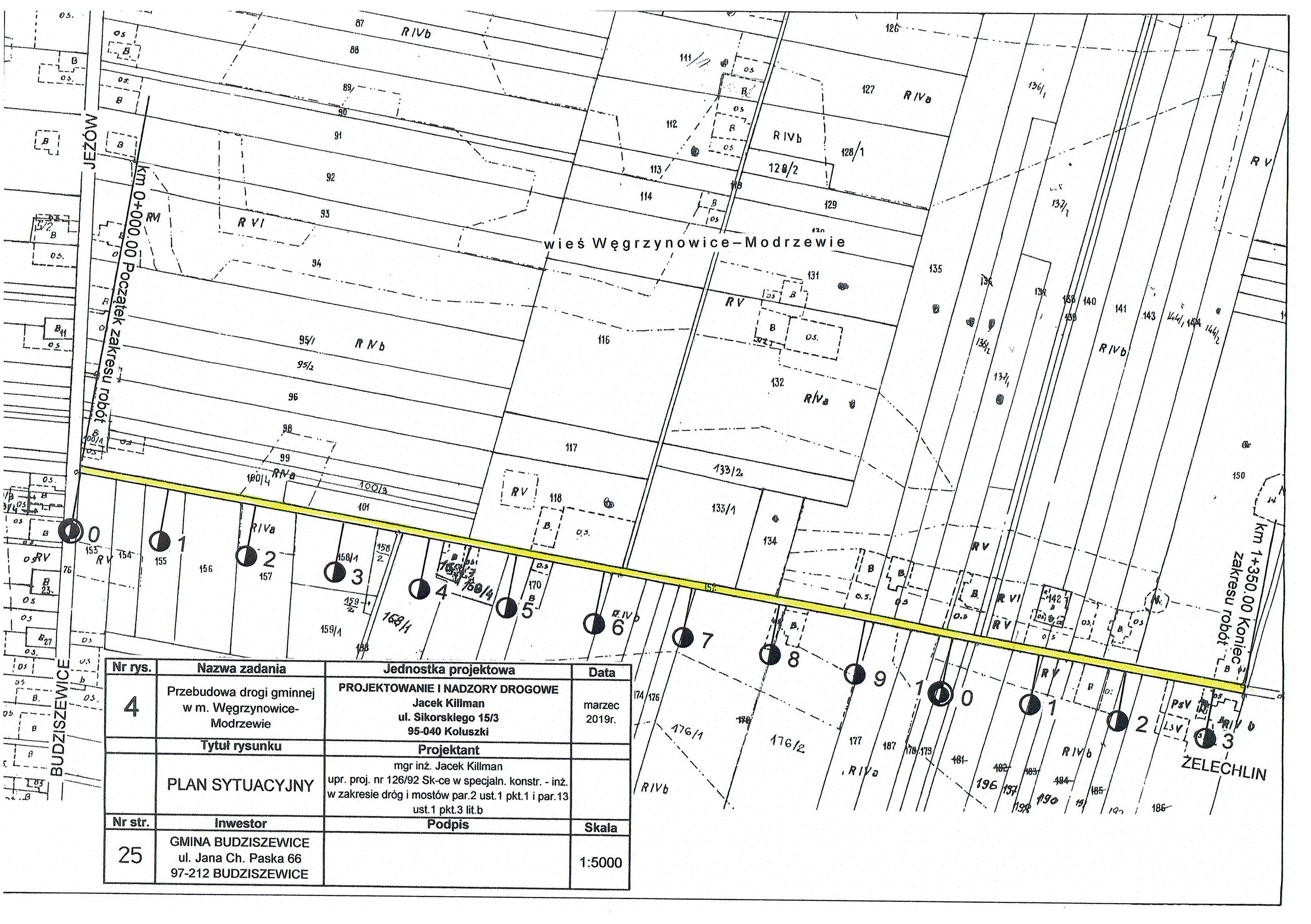
II.4) Krótki opis przedmiotu zamówienia (wielkość, zakres, rodzaj i ilość dostaw, usług lub robót budowlanych lub określenie zapotrzebowania i wymagań ) a w przypadku partnerstwa innowacyjnego - określenie zapotrzebowania na innowacyjny produkt, usługę lub roboty budowlane: Przedmiot zamówienia realizowany będzie na działce o nr ewid. 152 na odcinku o długości 1350,00 m. Jest to droga gminna nr 116061E. Zakresem swym obejmuje: roboty przygotowawcze i rozbiórkowe (m.in. roboty pomiarowe, karczowanie krzaków, ścinanie drzew z karczowaniem pni, rozebranie nawierzchni bitumicznych i podbudowy z kruszywa/brukowca, rozebranie zjazdów, krawężników i obrzeży betonowych, rozebranie słupków wraz z demontażem oznakowania pionowego) ; remont przepustu pod skrzyżowaniem (m.in.wykopy koparkami, profilowanie i zagęszczanie istniejącego podłoża, wykonanie ławy fundamentowej, przepusty z rur karbowanych i ścianki czołowe prefabrykowane, zasypanie wykopów , umocnienie wlotu i wylotu przepustu ażurowymi płytami); poszerzenia i podbudowa jezdni (m.in.roboty ziemne, profilowanie i zagęszczanie podłoża oraz jego wzmocnienie, podbudowa z kruszywa łamanego i jej skropienie asfaltem, oczyszczenie istniejącej nawierzchni, warstwa przeciwspękaniowa i skropienie asfaltem podłoża bitumicznego, wyrównanie podłoża bitumicznego betonem asfaltowym i skropienie asfaltem warstwy wyrównania bitumicznego)nawierzchnię jezdni (warstwa wiążąca i ścieralna z betonu asfaltowego) ; odtworzenie zjazdów (m.in. roboty ziemne, krawężniki najazdowe betonowe, podbudowy zjazdów z kruszyw łamanych, nawierzchnie zjazdów z kostki brukowej, betonu asfaltowego, z kruszywa łamanego); pobocza z kruszywa łamanego (m.in. koryto poboczy, pobocza wzmocnione kruszywem ); oznakowanie pionowe (pionowe znaki drogowe – słupki i montaż tarcz); roboty uzupełniające (m.in.regulacja pionowa i wymiana skrzynek zaworów wodociągowych, przestawienie i zabezpieczenie punktów osnowy geodezyjnej, roboty ziemne –odmulenie rowów). Szczegółowy opis przedmiotu zamówienia w tym jego zakres zawierają stanowiące integralną część SIWZ dokumentacja projektowa (projekt budowlany i przedmiar robót) oraz specyfikacje techniczne wykonania i odbioru robót. Zamawiający stosownie do art.29 ust.3a ustawy Pzp wymaga zatrudnienia przez wykonawcę lub podwykonawcę na podstawie umowy o pracę osób wykonujących czynności w zakresie realizacji zamówienia, których wykonanie zawiera cechy stosunku pracy określone w art.22 par.1 ustawy z dnia 26 czerwca kodeks pracy - wymagania zostały okreslone w siwz. Wartość zamówienia poniżej kwoty określonej w przepisach wydanych na podstawie art.11 ust.8 ustawy Pzp.               
II.5) Główny kod CPV: 45200000-9
Dodatkowe kody CPV:

Kod CPV

45230000-8

45233000-9

II.6) Całkowita wartość zamówienia (jeżeli zamawiający podaje informacje o wartości zamówienia):
Wartość bez VAT:
Waluta:

(w przypadku umów ramowych lub dynamicznego systemu zakupów – szacunkowa całkowita maksymalna wartość w całym okresie obowiązywania umowy ramowej lub dynamicznego systemu zakupów)

II.7) Czy przewiduje się udzielenie zamówień, o których mowa w art. 67 ust. 1 pkt 6 i 7 lub w art. 134 ust. 6 pkt 3 ustawy Pzp:    Nie
Określenie przedmiotu, wielkości lub zakresu oraz warunków na jakich zostaną udzielone zamówienia, o których mowa w art. 67 ust. 1 pkt 6 lub w art. 134 ust. 6 pkt 3 ustawy Pzp:


II.8) Okres, w którym realizowane będzie zamówienie lub okres, na który została zawarta umowa ramowa lub okres, na który został ustanowiony dynamiczny system zakupów:
miesiącach:    lub dniach: 60
lub
data rozpoczęcia:   lub zakończenia:
II.9) Informacje dodatkowe:

SEKCJA III: INFORMACJE O CHARAKTERZE PRAWNYM, EKONOMICZNYM, FINANSOWYM I TECHNICZNYM

III.1) WARUNKI UDZIAŁU W POSTĘPOWANIU

III.1.1) Kompetencje lub uprawnienia do prowadzenia określonej działalności zawodowej, o ile wynika to z odrębnych przepisów
Określenie warunków:
Informacje dodatkowe


III.1.2) Sytuacja finansowa lub ekonomiczna
Określenie warunków:
Informacje dodatkowe


III.1.3) Zdolność techniczna lub zawodowa
Określenie warunków: Zamawiający uzna warunek za spełniony, gdy Wykonawca wykaże, że : 1) w okresie ostatnich 5 lat przed upływem terminu składania ofert, a jeżeli okres prowadzenia działalności jest krótszy – w tym okresie, należycie wykonał co najmniej jedną robotę budowlaną polegającą na budowie, przebudowie                   lub remoncie drogi o długości minimum 500 m 2) skieruje do realizacji zamówienia co najmniej jedną osobę na kierownika budowy, która posiada uprawnienia do kierowania robotami budowlanymi w specjalności drogowej lub odpowiadające im ważne uprawnienia budowlane, które zostały wydane na podstawie wcześniej obowiązujących przepisów i w okresie ostatnich 3 lat przed upływem terminu składania ofert pełniła funkcję kierownika budowy w odniesieniu do minimum jednej roboty budowlanej obejmującej budowę, przebudowę                     lub remont drogi. Uwaga dot. wymaganych uprawnień budowlanych: Uznane zostaną również uprawnienia budowlane wydane na zasadach wynikających z ustawy o zasadach uznawania kwalifikacji zawodowych nabytych w państwach członkowskich Unii Europejskiej (Dz.U.z 2020r.poz.220). W przypadku wykonawców wspólnie ubiegających się o udzielenie przedmiotowego zamówienia, każdy z Partnerów musi spełniać co najmniej jeden z warunków udziału dotyczących zdolności technicznej lub zawodowej, tak, by łącznie spełniać obydwa te warunki.
Zamawiający wymaga od wykonawców wskazania w ofercie lub we wniosku o dopuszczenie do udziału w postępowaniu imion i nazwisk osób wykonujących czynności przy realizacji zamówienia wraz z informacją o kwalifikacjach zawodowych lub doświadczeniu tych osób: Nie
Informacje dodatkowe:

III.2) PODSTAWY WYKLUCZENIA

III.2.1) Podstawy wykluczenia określone w art. 24 ust. 1 ustawy Pzp
III.2.2) Zamawiający przewiduje wykluczenie wykonawcy na podstawie art. 24 ust. 5 ustawy Pzp Tak Zamawiający przewiduje następujące fakultatywne podstawy wykluczenia: Tak (podstawa wykluczenia określona w art. 24 ust. 5 pkt 1 ustawy Pzp)

III.3) WYKAZ OŚWIADCZEŃ SKŁADANYCH PRZEZ WYKONAWCĘ W CELU WSTĘPNEGO POTWIERDZENIA, ŻE NIE PODLEGA ON WYKLUCZENIU ORAZ SPEŁNIA WARUNKI UDZIAŁU W POSTĘPOWANIU ORAZ SPEŁNIA KRYTERIA SELEKCJI

Oświadczenie o niepodleganiu wykluczeniu oraz spełnianiu warunków udziału w postępowaniu
Tak
Oświadczenie o spełnianiu kryteriów selekcji
Nie

III.4) WYKAZ OŚWIADCZEŃ LUB DOKUMENTÓW , SKŁADANYCH PRZEZ WYKONAWCĘ W POSTĘPOWANIU NA WEZWANIE ZAMAWIAJACEGO W CELU POTWIERDZENIA OKOLICZNOŚCI, O KTÓRYCH MOWA W ART. 25 UST. 1 PKT 3 USTAWY PZP:

Odpis z właściwego rejestru lub z centralnej ewidencji i informacji o działalności gospodarczej, jeżeli odrębne przepisy wymagają wpisu do rejestru lub ewidencji - w celu potwierdzenia braku podstaw wykluczenia na podstawie art.24 ust.5 pkt 1 ustawy Pzp. UWAGA – Wykonawca mający siedzibę lub miejsce zamieszkania poza terytorium Rzeczypospolitej Polskiej składa dokument wystawiony w kraju, w którym ma siedzibę lub miejsce zamieszkania potwierdzający, że nie otwarto jego likwidacji ani nie ogłoszono upadłości, wystawiony nie wcześniej niż 6 miesięcy przed upływem terminu składania ofert. Jeżeli w kraju , w którym wykonawca ma siedzibę lub miejsce zamieszkania lub miejsce zamieszkania ma osoba, której dokument dotyczy, nie wydaje się takich dokumentów, zastępuje się je dokumentem zawierającym odpowiednio oświadczenie wykonawcy, ze wskazaniem osoby albo osób uprawnionych do jego reprezentacji, lub oświadczenie osoby, której dokument miał dotyczyć, złożone przed notariuszem lub przed organem sądowym, administracyjnym albo organem samorządu zawodowego lub gospodarczego właściwym ze względu na siedzibę lub miejsce zamieszkania wykonawcy lub miejsce zamieszkania tej osoby, wystawionym nie wcześniej niż 6 miesięcy przed upływem terminu składania ofert.Zamawiający żąda od Wykonawcy, który polega na zdolnościach innych podmiotów na zasadach określonych w art.22a ustawy Pzp, przedstawienia w odniesieniu do tych podmiotów odpisu z właściwego rejestru lub z centralnej ewidencji i informacji o działalności gospodarczej, jeżeli odrębne przepisy wymagają wpisu do rejestru lub ewidencji, w celu potwierdzenia braku podstaw wykluczenia na podstawie art.24 ust.5 pkt 1 ustawy Pzp. Wykonawcy składający ofertę wspólnie: Każdy z Partnerów musi złożyć wymieniony dokument . Dokumenty mają bowiem potwierdzać brak podstaw do wykluczenia każdego                             z wykonawców wspólnie ubiegających się o udzielenie zamówienia.

III.5) WYKAZ OŚWIADCZEŃ LUB DOKUMENTÓW SKŁADANYCH PRZEZ WYKONAWCĘ W POSTĘPOWANIU NA WEZWANIE ZAMAWIAJACEGO W CELU POTWIERDZENIA OKOLICZNOŚCI, O KTÓRYCH MOWA W ART. 25 UST. 1 PKT 1 USTAWY PZP

III.5.1) W ZAKRESIE SPEŁNIANIA WARUNKÓW UDZIAŁU W POSTĘPOWANIU:
W celu potwierdzenia spełniania przez wykonawcę warunków udziału w postępowaniu dotyczących zdolności technicznej lub zawodowej: 1) wykaz robót budowlanych wykonanych nie wcześniej niż w okresie ostatnich 5 lat przed upływem terminu składania ofert, a jeżeli okres prowadzenia działalności jest krótszy- w tym okresie, wraz z podaniem ich rodzaju, wartości, daty, miejsca wykonania i podmiotów, na rzecz których roboty te zostały wykonane, z załączeniem dowodów określających czy te roboty budowlane zostały wykonane należycie, w szczególności informacji o tym czy roboty zostały wykonane zgodnie z przepisami prawa budowlanego i prawidłowo ukończone, przy czym, dowodami, o których mowa, są referencje bądź inne dokumenty wystawione przez podmiot, na rzecz którego roboty budowlane były wykonywane, a jeżeli z uzasadnionej przyczyny o obiektywnym charakterze wykonawca nie jest w stanie uzyskać tych dokumentów- inne dokumenty, 2) wykaz osób skierowanych przez Wykonawcę do realizacji zamówienia publicznego, w szczególności odpowiedzialnych za kierowanie robotami budowlanymi, wraz z informacjami na temat ich kwalifikacji zawodowych, uprawnień, doświadczenia i wykształcenia niezbędnych do wykonania zamówienia publicznego, a także zakresu wykonywanych przez nie czynności oraz informacją o podstawie do dysponowania tymi osobami . Wykonawcy składający ofertę wspólnie: 1/ Wykaz robót wraz z załączonymi do niego dowodami określającymi może zostać złożony i dotyczyć tylko jednego Partnera (dla warunku wymienionego w pkt III.1.3.1 ogłoszenia wystarczy bowiem, że zostanie on spełniony łącznie poprzez sumaryczną ocenę wszystkich wykonawców składających ofertę wspólnie); 2/ Wykaz osób może zostać złożony i dotyczyć tylko jednego Partnera (dla warunku wymienionego w pkt III.1.3.2 ogłoszenia wystarczy bowiem, że zostanie on spełniony łącznie poprzez sumaryczną ocenę wszystkich wykonawców składających ofertę wspólnie, z zachowaniem jednak wymogu, określonego w pkt III.1.3 ogłoszenia.


III.5.2) W ZAKRESIE KRYTERIÓW SELEKCJI:


III.6) WYKAZ OŚWIADCZEŃ LUB DOKUMENTÓW SKŁADANYCH PRZEZ WYKONAWCĘ W POSTĘPOWANIU NA WEZWANIE ZAMAWIAJACEGO W CELU POTWIERDZENIA OKOLICZNOŚCI, O KTÓRYCH MOWA W ART. 25 UST. 1 PKT 2 USTAWY PZP

III.7) INNE DOKUMENTY NIE WYMIENIONE W pkt III.3) - III.6)

1/ pełnomocnictwo do reprezentowania wykonawcy, w przypadku składania oferty przez pełnomocnika Wykonawcy - wraz z ofertą 2/ zobowiązanie podmiotu trzeciego do oddania Wykonawcy do dyspozycji niezbędnych zasobów na potrzeby realizacji przedmiotowego zamówienia , w przypadku gdy Wykonawca korzysta z potencjału podmiotu trzeciego –wraz z ofertą 3/w przypadku wykonawców wspólnie ubiegających się o udzielenie zamówienia – pełnomocnictwo -wraz z ofertą 4/ w przypadku oferowania rozwiązań równoważnych dla dopuszczonych przez Zamawiającego materiałów i urządzeń – dokumenty zawierające dane techniczne i parametry proponowanych równoważnych materiałów i urządzeń – wraz ofertą 5/ oświadczenie o przynależności lub braku przynależności do tej samej grupy kapitałowej, o której mowa w art.24ust.1pkt 23 ustawy Pzp - w terminie 3 dni od dnia zamieszczenia na stronie internetowej Zamawiającego informacji, o której mowa w art.86 ust.5 ustawy Pzp

SEKCJA IV: PROCEDURA

IV.1) OPIS
IV.1.1) Tryb udzielenia zamówienia: Przetarg nieograniczony
IV.1.2) Zamawiający żąda wniesienia wadium:     Nie
Informacja na temat wadium
IV.1.3) Przewiduje się udzielenie zaliczek na poczet wykonania zamówienia:

Nie
Należy podać informacje na temat udzielania zaliczek:
IV.1.4) Wymaga się złożenia ofert w postaci katalogów elektronicznych lub dołączenia do ofert katalogów elektronicznych:   Nie
Dopuszcza się złożenie ofert w postaci katalogów elektronicznych lub dołączenia do ofert katalogów elektronicznych:   Nie
Informacje dodatkowe:
IV.1.5.) Wymaga się złożenia oferty wariantowej: Nie
Dopuszcza się złożenie oferty wariantowej Nie
Złożenie oferty wariantowej dopuszcza się tylko z jednoczesnym złożeniem oferty zasadniczej: Nie

IV.1.6) Przewidywana liczba wykonawców, którzy zostaną zaproszeni do udziału w postępowaniu
(przetarg ograniczony, negocjacje z ogłoszeniem, dialog konkurencyjny, partnerstwo innowacyjne)

Liczba wykonawców  
Przewidywana minimalna liczba wykonawców
Maksymalna liczba wykonawców  
Kryteria selekcji wykonawców:
IV.1.7) Informacje na temat umowy ramowej lub dynamicznego systemu zakupów:

Umowa ramowa będzie zawarta:
Czy przewiduje się ograniczenie liczby uczestników umowy ramowej:
Przewidziana maksymalna liczba uczestników umowy ramowej:
Informacje dodatkowe:

Zamówienie obejmuje ustanowienie dynamicznego systemu zakupów:
Adres strony internetowej, na której będą zamieszczone dodatkowe informacje dotyczące dynamicznego systemu zakupów:
Informacje dodatkowe:
W ramach umowy ramowej/dynamicznego systemu zakupów dopuszcza się złożenie ofert w formie katalogów elektronicznych:
Przewiduje się pobranie ze złożonych katalogów elektronicznych informacji potrzebnych do sporządzenia ofert w ramach umowy ramowej/dynamicznego systemu zakupów:
IV.1.8) Aukcja elektroniczna
Przewidziane jest przeprowadzenie aukcji elektronicznej (przetarg nieograniczony, przetarg ograniczony, negocjacje z ogłoszeniem) Nie
Należy podać adres strony internetowej, na której aukcja będzie prowadzona:
Należy wskazać elementy, których wartości będą przedmiotem aukcji elektronicznej:
Przewiduje się ograniczenia co do przedstawionych wartości, wynikające z opisu przedmiotu zamówienia:
Należy podać, które informacje zostaną udostępnione wykonawcom w trakcie aukcji elektronicznej oraz jaki będzie termin ich udostępnienia:
Informacje dotyczące przebiegu aukcji elektronicznej:
Jaki jest przewidziany sposób postępowania w toku aukcji elektronicznej i jakie będą warunki, na jakich wykonawcy będą mogli licytować (minimalne wysokości postąpień):
Informacje dotyczące wykorzystywanego sprzętu elektronicznego, rozwiązań i specyfikacji technicznych w zakresie połączeń:
Wymagania dotyczące rejestracji i identyfikacji wykonawców w aukcji elektronicznej:
Informacje o liczbie etapów aukcji elektronicznej i czasie ich trwania:

Czas trwania:
Czy wykonawcy, którzy nie złożyli nowych postąpień, zostaną zakwalifikowani do następnego etapu:
Warunki zamknięcia aukcji elektronicznej:


IV.2) KRYTERIA OCENY OFERT
IV.2.1) Kryteria oceny ofert:
IV.2.2) Kryteria

Kryteria

Znaczenie

cena

60,00

okres gwarancji

40,00

   

 

IV.2.3) Zastosowanie procedury, o której mowa w art. 24aa ust. 1 ustawy Pzp (przetarg nieograniczony)
Tak
IV.3) Negocjacje z ogłoszeniem, dialog konkurencyjny, partnerstwo innowacyjne
IV.3.1) Informacje na temat negocjacji z ogłoszeniem
Minimalne wymagania, które muszą spełniać wszystkie oferty:
Przewidziane jest zastrzeżenie prawa do udzielenia zamówienia na podstawie ofert wstępnych bez przeprowadzenia negocjacji
Przewidziany jest podział negocjacji na etapy w celu ograniczenia liczby ofert:
Należy podać informacje na temat etapów negocjacji (w tym liczbę etapów):
Informacje dodatkowe
IV.3.2) Informacje na temat dialogu konkurencyjnego
Opis potrzeb i wymagań zamawiającego lub informacja o sposobie uzyskania tego opisu:
Informacja o wysokości nagród dla wykonawców, którzy podczas dialogu konkurencyjnego przedstawili rozwiązania stanowiące podstawę do składania ofert, jeżeli zamawiający przewiduje nagrody:
Wstępny harmonogram postępowania:
Podział dialogu na etapy w celu ograniczenia liczby rozwiązań:
Należy podać informacje na temat etapów dialogu:
Informacje dodatkowe:
IV.3.3) Informacje na temat partnerstwa innowacyjnego
Elementy opisu przedmiotu zamówienia definiujące minimalne wymagania, którym muszą odpowiadać wszystkie oferty:
Podział negocjacji na etapy w celu ograniczeniu liczby ofert podlegających negocjacjom poprzez zastosowanie kryteriów oceny ofert wskazanych w specyfikacji istotnych warunków zamówienia:
Informacje dodatkowe:
IV.4) Licytacja elektroniczna
Adres strony internetowej, na której będzie prowadzona licytacja elektroniczna:

Adres strony internetowej, na której jest dostępny opis przedmiotu zamówienia w licytacji elektronicznej:

Wymagania dotyczące rejestracji i identyfikacji wykonawców w licytacji elektronicznej, w tym wymagania techniczne urządzeń informatycznych:

Sposób postępowania w toku licytacji elektronicznej, w tym określenie minimalnych wysokości postąpień:

Informacje o liczbie etapów licytacji elektronicznej i czasie ich trwania:

Czas trwania:
Wykonawcy, którzy nie złożyli nowych postąpień, zostaną zakwalifikowani do następnego etapu:

Termin składania wniosków o dopuszczenie do udziału w licytacji elektronicznej:
Data: godzina:
Termin otwarcia licytacji elektronicznej:

Termin i warunki zamknięcia licytacji elektronicznej:

Istotne dla stron postanowienia, które zostaną wprowadzone do treści zawieranej umowy w sprawie zamówienia publicznego, albo ogólne warunki umowy, albo wzór umowy:

Wymagania dotyczące zabezpieczenia należytego wykonania umowy:

Informacje dodatkowe:

IV.5) ZMIANA UMOWY
Przewiduje się istotne zmiany postanowień zawartej umowy w stosunku do treści oferty, na podstawie której dokonano wyboru wykonawcy: Tak
Należy wskazać zakres, charakter zmian oraz warunki wprowadzenia zmian:
Zamawiający, działając na podstawie art.144 ust.1 pkt 1 ustawy Pzp przewiduje możliwość zmiany zawartej umowy w przypadkach: 1/przedłużenie terminu o okres trwania przyczyn, z powodu których będzie zagrożone dotrzymanie terminu zakończenia robót, w następujących sytuacjach : a) jeżeli przyczyny, z powodu których będzie zagrożone dotrzymanie terminu zakończenia robót będą następstwem okoliczności, za które odpowiedzialność ponosi Zamawiający, w szczególności będą następstwem nieterminowego przekazania terenu budowy, konieczności usunięcia błędów lub zmian w dokumentacji projektowej w zakresie, w jakim ww. okoliczności miały lub będą mogły mieć wpływ na dotrzymanie terminu zakończenia robót, b) wstrzymania realizacji umowy przez Zamawiającego c) niedopuszczenia do wykonywania lub wstrzymania prac budowlanych przez właściwy organ, z przyczyn niezależnych od Wykonawcy, d) opóźnienia w dokonywaniu określonych czynności lub ich zaniechania przez właściwe organy , które nie są następstwem okoliczności, za które Wykonawca ponosi odpowiedzialność, e) opóźnienia po stronie właściwych organów w uzyskaniu przez wykonawcę niezbędnych decyzji, zezwoleń, uzgodnień itp., do wydania których organy te są zobowiązane mocą przepisów prawa, jeżeli opóźnienie przekroczy okres przewidziany w przepisach prawa, w którym ww. dokumenty powinny zostać wydane oraz nie są następstwem okoliczności, za które Wykonawca ponosi odpowiedzialność, f) zaistnienia warunków pogodowych uniemożliwiających prawidłowe wykonanie robót, w szczególności z powodu technologii realizacji prac określonej umową, normami lub innymi przepisami, wymagającej konkretnych warunków atmosferycznych, jeżeli konieczność wykonania prac w tym okresie nie jest następstwem okoliczności, za które Wykonawca ponosi odpowiedzialność, g) wystąpienia siły wyższej uniemożliwiającej wykonanie przedmiotu umowy zgodnie z jej postanowieniami, h) gdy zmiana będzie uzasadniona robotami zamiennymi i) gdy zmiana będzie uzasadniona innymi robotami niezbędnymi do wykonania przedmiotu umowy lub zamówieniami dodatkowymi, które wstrzymują lub opóźniają realizację przedmiotu umowy, wystąpienia niebezpieczeństwa kolizji z planowanymi lub równolegle prowadzonymi przez inne podmioty inwestycjami w zakresie niezbędnym do uniknięcia lub usunięcia tych kolizji j) konieczności uzyskania wyroku sądowego lub innego orzeczenia sądu lub organu, którego konieczności nie przewidziano przy zawieraniu umowy k) konieczności zaspokojenia roszczeń lub oczekiwań osób trzecich, w tym grup społecznych lub zawodowych nieartykułowanych lub niemożliwych do jednoznacznego określenia w chwili zawierania umowy l) wystąpienia innej oczywistej przyczyny uniemożliwiającej wykonanie zamówienia w oznaczonym terminie, niezależnej od żadnej ze stron umowy. 2/ w zakresie materiałów, parametrów technicznych, technologii wykonania robót budowlanych, sposobu i zakresu wykonywania przedmiotu umowy, w następujących sytuacjach: a) gdy materiały lub urządzenia przewidziane w umowie do wykonania zamówienia nie mogą być użyte przy realizacji przedmiotu umowy z powodu zaprzestania produkcji lub wycofania z rynku lub zastąpienia innymi b) konieczności zrealizowania przedmiotu umowy przy zastosowaniu innych rozwiązań technicznych lub materiałowych ze względu na zmiany obowiązującego prawa c) możliwości zastosowania technologii o wyższym od przyjętego w dokumentacji projektowej standardzie wykonania przedmiotu umowy pozwalającej na zaoszczędzenie czasu realizacji zamówienia lub jego kosztów, jak również kosztów eksploatacji wykonanego przedmiotu umowy, d) konieczności zrealizowania jakiejkolwiek części robót, objętej przedmiotem umowy, przy zastosowaniu odmiennych rozwiązań technicznych lub technologicznych, niż wskazane w dokumentacji projektowej, a wynikających ze stwierdzonych wad tej dokumentacji lub zmiany stanu prawnego w oparciu o który je przygotowano, gdyby zastosowanie przewidzianych rozwiązań groziło niewykonaniem lub nienależytym wykonaniem przedmiotu umowy, e) wystąpienia warunków geologicznych, geotechnicznych lub hydrologicznych odbiegających w istotny sposób od przyjętych w dokumentacji projektowej, znaleziska archeologiczne, niewybuchy lub niewypały, które mogą skutkować w świetle dotychczasowych założeń niewykonaniem lub nienależytym wykonaniem przedmiotu umowy, f) wystąpienia warunków terenu budowy odbiegających w sposób istotny od przyjętych w dokumentacji projektowej, w szczególności napotkania niezinwentaryzowanych lub błędnie zinwentaryzowanych sieci, instalacji lub innych obiektów budowlanych g) konieczności realizacji robót wynikających z wprowadzenia w dokumentacji projektowej zmian uznanych za nieistotne odstępstwo od projektu budowlanego, wynikających z art.36a ust.1 PrBud, h) wystąpienia niebezpieczeństwa kolizji z planowanymi lub równolegle prowadzonymi przez inne podmioty inwestycjami w zakresie niezbędnym do uniknięcia lub usunięcia tych kolizji, i) gdy zmniejszenie zakresu przedmiotu umowy uzasadnione jest zbędnością wykonania robót objętych tym zakresem i nie zagraża należytemu wykonaniu przedmiotu umowy lub roboty zostały ujęte w dokumentacji projektowej omyłkowo lub w wyniku błędu lub zaistniała po stronie Zamawiającego inna okoliczność uzasadniająca zmniejszenie zakresu, w szczególności niewystarczające środki finansowe, a zmiana nie zagraża należytemu wykonaniu i użytkowaniu przedmiotu umowy w zmniejszonym zakresie. j) wystąpienia siły wyższej uniemożliwiającej wykonanie przedmiotu umowy zgodnie z jej postanowieniami. 3/ w zakresie wynagrodzenia –zmiana wynagrodzenia należnego Wykonawcy, w przypadkach określonych w pkt 2. 4/ zmiany w zakresie podwykonawstwa w następujących sytuacjach: a) możliwość dopuszczenia podwykonawców: - dla innego zakresu robót od wskazanego w ofercie i następnie zawartego w umowie - w przypadku , gdy Wykonawca w ofercie poinformował, iż nie ma zamiaru powierzenia części zamówienia podwykonawcom, a w trakcie realizacji chciałby powierzyć część zamówienia podwykonawcy b)rezygnacja z podwykonawstwa. 5/ zmiany osobowe: zmiany osób realizujących zamówienie pod warunkiem, że osoby te będą spełniać wymagania określone w SIWZ 6/ gdy wynikną rozbieżności lub niejasności w umowie, których nie można usunąć w inny sposób, a zmiana będzie umożliwiać ich usunięcie w celu jednoznacznej interpretacji postanowień umownych przez Strony. 3. W związku z tym , że realizacja niniejszej umowy odbywać się będzie w warunkach trwającej epidemii COVID-19 i związanej z tym niepewności co do jej realizacji, dopuszcza się możliwość zmiany zakresu, sposobu, przyjętych rozwiązań materiałowych i technologicznych, i terminu realizacji umowy oraz wynagrodzenia Wykonawcy , w przypadku, gdy okoliczności związane z COVID-19 spowodują wpływ na możliwość należytego wykonania umowy. Dopuszcza się również możliwość odstąpienia od ustalenia i dochodzenia kar umownych lub odszkodowania lub obniżenia ich wysokości , przewidzianych w niniejszej umowie z tytułu odpowiedzialności za niewykonanie lub nienależyte wykonanie umowy, stosownie do wpływu okoliczności związanych z COVID-19 na prawidłowość realizacji umowy. 4. Zamawiający jest uprawniony do żądania zmiany sposobu rozliczania umowy lub dokonywania płatności na rzecz Wykonawcy w przypadku potrzeby dostosowania do zawartej przez Zamawiającego umowy o dofinansowanie przedmiotu niniejszej umowy (projektu) lub wytycznych dotyczących realizacji projektu. 5. Jeżeli Wykonawca uważa się za uprawnionego do przedłużenia terminu zakończenia robót na podstawie ust.2 pkt 1, zmiany umowy w zakresie materiałów, parametrów technicznych, technologii wykonania robót budowlanych, sposobu i zakresu wykonania przedmiotu umowy na podstawie ust.2 pkt 2 lub zmiany wynagrodzenia na podstawie ust.2pkt 3 lub zmiany umowy na podst. ust.3 lub na innej podstawie wskazanej w niniejszej umowie, zobowiązany jest do przekazania Zamawiającemu wniosku o zmianę umowy wraz z opisem zdarzenia lub okoliczności stanowiących podstawę do żądania takiej zmiany. 6. Wykonawca zobowiązany jest do okazania Zamawiającemu do wglądu dokumentacji koniecznej dla uzasadnienia zmiany ,            a na żądanie Zamawiającego do przedłożenia oryginału lub kopii tej dokumentacji. 7. Wraz z wnioskiem o zmianę umowy na podstawie ust.2 pkt 2 lub 3 lub ust.3 Wykonawca zobowiązany jest złożyć propozycję rozliczenia robót przygotowaną w oparciu o zasady określone odpowiednio w §12 ,13 lub 14. 8. Zamawiający powiadomi Wykonawcę o akceptacji żądania zmiany umowy i terminie jej podpisania lub o braku akceptacji zmiany po uzyskaniu opinii Inspektora Nadzoru w przedmiocie żądanej zmiany i odpowiednio propozycji wyceny robót. 9. Propozycję rozliczenia robót w oparciu o zasady określone odpowiednio w §12,13 lub 14 Wykonawca zobowiązany jest przedstawić Zamawiającemu również w sytuacji gdy zmiana umowy następuje z inicjatywy Zamawiającego. 10. Wszystkie wymienione powyżej okoliczności stanowią katalog zmian, które mogą zostać wprowadzone do umowy, nie stanowią jednocześnie zobowiązania do ich wprowadzenia. 11. W razie wątpliwości, przyjmuje się, że nie stanowią zmiany umowy następujące zmiany: 1/ dane związane z obsługą administracyjno-organizacyjną umowy, 2/ danych teleadresowych, 3/ danych rejestrowych, 4/ będącej następstwem sukcesji uniwersalnej po jednej ze Stron umowy.

IV.6) INFORMACJE ADMINISTRACYJNE
IV.6.1) Sposób udostępniania informacji o charakterze poufnym (jeżeli dotyczy):
Środki służące ochronie informacji o charakterze poufnym
IV.6.2) Termin składania ofert lub wniosków o dopuszczenie do udziału w postępowaniu:
Data: 2020-06-29, godzina: 12:00,
Skrócenie terminu składania wniosków, ze względu na pilną potrzebę udzielenia zamówienia (przetarg nieograniczony, przetarg ograniczony, negocjacje z ogłoszeniem): Nie
Wskazać powody:
Język lub języki, w jakich mogą być sporządzane oferty lub wnioski o dopuszczenie do udziału w postępowaniu
> polski
IV.6.3) Termin związania ofertą: do: okres w dniach: 30 (od ostatecznego terminu składania ofert)
IV.6.4) Przewiduje się unieważnienie postępowania o udzielenie zamówienia, w przypadku nieprzyznania środków, które miały być przeznaczone na sfinansowanie całości lub części zamówienia: Nie
IV.6.5) Informacje dodatkowe:
Na realizację zadania będącego przedmiotem zamówienia Gmina uzyskała dofinansowanie ze środków Funduszu Dróg Samorządowych.

                                                                                                                                   Wójt Gminy

                                                                                                                               (-) Marian Holak

                                                                                      

Załączniki:
PlikOpisZałączającyRozmiarPobieranieZamieszczono
Pobierz plik (SIWZ.pdf)SIWZ.pdf Małgorzata Piwońska391 kB4932020-06-12 13:37
Pobierz plik (1. WĘGRZYNOWICE Strona Tytułowa.doc)1. WĘGRZYNOWICE Strona Tytułowa.doc Małgorzata Piwońska36 kB5112020-06-12 13:36
Pobierz plik (2. WĘGRZYNOWICE Spis Zawartości.doc)2. WĘGRZYNOWICE Spis Zawartości.doc Małgorzata Piwońska32 kB4812020-06-12 13:36
Pobierz plik (3. WĘGRZYNOWICE Str. Tyt. Część I.doc)3. WĘGRZYNOWICE Str. Tyt. Część I.doc Małgorzata Piwońska26 kB4962020-06-12 13:36
Pobierz plik (4. WĘGRZYNOWICE Dane Wyjściowe.doc)4. WĘGRZYNOWICE Dane Wyjściowe.doc Małgorzata Piwońska44 kB4912020-06-12 13:36
Pobierz plik (5. WĘGRZYNOWICE Opis Techniczny.doc)5. WĘGRZYNOWICE Opis Techniczny.doc Małgorzata Piwońska108 kB5102020-06-12 13:36
Pobierz plik (6. WĘGRZYNOWICE Inf. Bezp. i Ochr. Zdr..doc)6. WĘGRZYNOWICE Inf. Bezp. i Ochr. Zdr..doc Małgorzata Piwońska76 kB4902020-06-12 13:36
Pobierz plik (7. WĘGRZYNOWICE Roboty Nawierzchniowe.xls)7. WĘGRZYNOWICE Roboty Nawierzchniowe.xls Małgorzata Piwońska32 kB4872020-06-12 13:35
Pobierz plik (8. WĘGRZYNOWICE Roboty Rozbiórkowe.xls)8. WĘGRZYNOWICE Roboty Rozbiórkowe.xls Małgorzata Piwońska29 kB4792020-06-12 13:35
Pobierz plik (9. WĘGRZYNOWICE Str. Tyt. Część II.doc)9. WĘGRZYNOWICE Str. Tyt. Część II.doc Małgorzata Piwońska26 kB4572020-06-12 13:35
Pobierz plik (9.1. Rys. nr 1. Orientacja.jpg)9.1. Rys. nr 1. Orientacja.jpg Małgorzata Piwońska3673 kB5382020-06-12 13:35
Pobierz plik (9.2. Rys. nr 2. Lokalizacja.jpg)9.2. Rys. nr 2. Lokalizacja.jpg Małgorzata Piwońska2660 kB5012020-06-12 13:34
Pobierz plik (9.3. Rys. nr 3. Przekrój normalny.jpg)9.3. Rys. nr 3. Przekrój normalny.jpg Małgorzata Piwońska965 kB4942020-06-12 13:34
Pobierz plik (9.4. Rys. nr 4. Plan sytuacyjny.jpg)9.4. Rys. nr 4. Plan sytuacyjny.jpg Małgorzata Piwońska1745 kB4732020-06-12 13:34
Pobierz plik (10. WĘGRZYNOWICE Str. Tyt. Część III.doc)10. WĘGRZYNOWICE Str. Tyt. Część III.doc Małgorzata Piwońska25 kB4682020-06-12 13:34
Pobierz plik (11. WĘGRZYNOWICE Oświadczenie Projektanta.doc)11. WĘGRZYNOWICE Oświadczenie Projektanta.doc Małgorzata Piwońska31 kB4512020-06-12 13:34
Pobierz plik (12. WĘGRZYNOWICE Dokumentacja fotograficzna.doc)12. WĘGRZYNOWICE Dokumentacja fotograficzna.doc Małgorzata Piwońska31593 kB4752020-06-12 13:33
Pobierz plik (13. STWiOR Strona Tytułowa.doc)13. STWiOR Strona Tytułowa.doc Małgorzata Piwońska31 kB4642020-06-12 13:32
Pobierz plik (14. STWiOR Rob. przygotowawcze.doc)14. STWiOR Rob. przygotowawcze.doc Małgorzata Piwońska53 kB4752020-06-12 13:32
Pobierz plik (15. STWiOR  Podbudowy z kruszyw stab. spoiwami hydr..doc)15. STWiOR Podbudowy z kruszyw stab. spoiwami hydr..doc Małgorzata Piwońska198 kB4852020-06-12 13:32
Pobierz plik (16. STWiOR  Podbudowy dolne, oczyszcz., skrop., w-wy odsączające.doc)16. STWiOR Podbudowy dolne, oczyszcz., skrop., w-wy odsączające.doc Małgorzata Piwońska792 kB4492020-06-12 13:32
Pobierz plik (17. STWiOR Podbudowy z kr. łam. stab. mech..doc)17. STWiOR Podbudowy z kr. łam. stab. mech..doc Małgorzata Piwońska307 kB4652020-06-12 13:31
Pobierz plik (18. STWiOR  Warstwa ścieralna AC 2015.doc)18. STWiOR Warstwa ścieralna AC 2015.doc Małgorzata Piwońska1823 kB4632020-06-12 13:31
Pobierz plik (19. STWiOR  Warstwa wiążąca i wyrównawcza AC 2015.doc)19. STWiOR Warstwa wiążąca i wyrównawcza AC 2015.doc Małgorzata Piwońska1735 kB5452020-06-12 13:30
Pobierz plik (20. STWiOR  Krawężniki bet. - ustawienie.doc)20. STWiOR Krawężniki bet. - ustawienie.doc Małgorzata Piwońska1937 kB4672020-06-12 13:30
Pobierz plik (21. SWIiOR  Naw. z kostki betonowej dla dróg ulic placów i chodników.doc)21. SWIiOR Naw. z kostki betonowej dla dróg ulic placów i chodników.doc Małgorzata Piwońska2784 kB4542020-06-12 13:30
Pobierz plik (22. STWiOR Odtwarzanie rowów.doc)22. STWiOR Odtwarzanie rowów.doc Małgorzata Piwońska21 kB4962020-06-12 13:30
Pobierz plik (23. STWiOR  Pobocze utwardzone kruszywem łamanym.doc)23. STWiOR Pobocze utwardzone kruszywem łamanym.doc Małgorzata Piwońska1175 kB4702020-06-12 13:30
Pobierz plik (24. STWiOR  Geosiatka podbudów i nawierzchni.doc)24. STWiOR Geosiatka podbudów i nawierzchni.doc Małgorzata Piwońska7234 kB4592020-06-12 13:29
Pobierz plik (25. Przedmiar robót.pdf)25. Przedmiar robót.pdf Małgorzata Piwońska545 kB5212020-06-12 13:29